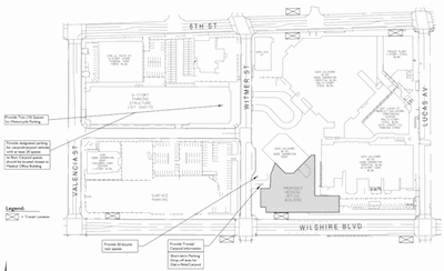
RK Engineering submitted a Transportation Demand Management (TDM) plan which addressed the requirements for the City of Los Angeles for the proposed Good Samaritan Hospital medical office building development. The TDM plan included, items such as strategies to reduce the dependency of single occupancy vehicles by encouraging transit use, carpools, parking cash out incentives and other alternative transportation modes, and included a recommended location of items such as preferential rideshare parking, bicycle storage, and vanpool drop-off areas. The TDM plan will now provide future occupants with additional transportation options in order to reduce vehicle trips and vehicle miles traveled (VMT).
